505 Front Street

P.O. Box 828

Craig, Alaska 99921   

Ph: (907) 826-3996

​facebook.com/CraigTribalAssociation

Craig Tribal Association



​​​




Project Name             Tract P    

Status                             Active    

%Completed               More than 60%

Crew Lead                   Carter Jones  


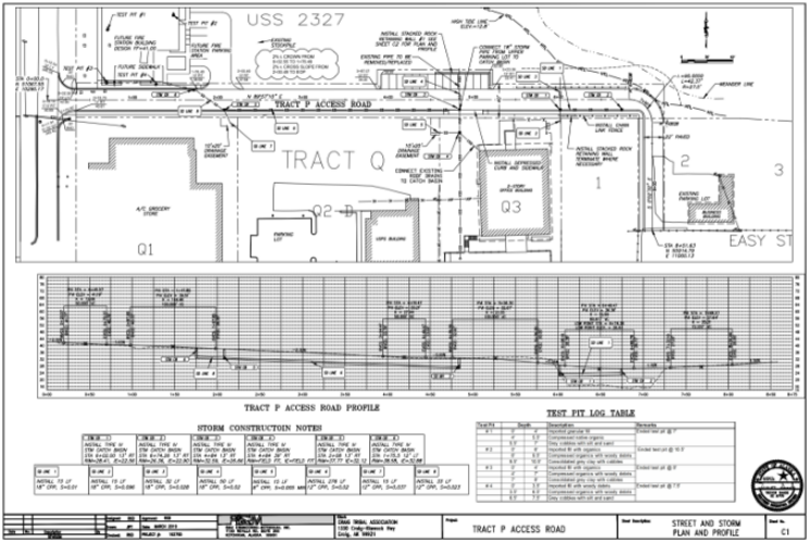
This project is progressing well. We have now roughed in the entire road. Several changes were made to the plans during construction, resulting in an improved design and substantial cost savings. Cold Storage Way and Easy St. are now connected to one another via the new Tract P. Access Road. Currently, our crew is working to install culverts and storm drain. Once culverts have been installed and all catch basin risers have been placed, we will begin on curb and gutter. The final step will be to pave the road. The CTA Transportation Department is researching the feasibility of surfacing the Tract P access Road with concrete as opposed to asphalt in the hopes of keeping this portion of the project in-house.

Please click the button above to access the Rules of the Ride


*Please Note: the list of bus etiquette for passengers that must be followed at all times. 

Department Projects

Tribal Transportation Department


How do I receive an updated car seat?


Infant Rear-Facing Car Seat

4-22 lbs


Backless Booster

40-100 lbs

Transportation Manager, Carter Jones              transportation@craigtribe.org             Phone: (907) 826-7433            Fax: (907) 826-2427 

​Transportation Technician, Martha Wood         transportationtech@craigtribe.org 

Take a look at our updates!

​​

Is it time to upgrade your child's car seat?



State of Alaska Car Seat Laws


BUS RENTALS!

Ask us how you can rent the bus for your event!

​​​​​​​​​​​​​​​​​​​​​​​​​


Good News! CTA's Child Passenger Safety Program through the BIA Child Passenger Safety Grant is now offering various sizes and brands of child passenger car seats, for eligible Tribal Members, at no cost to you! 













                                                                                 


Eligibility Requirements include:


- Expecting a child

- Have a child needing to upgrade to a different level of Passenger Seat Safety

- Provide daycare for a family member in which you transport children

​- Be a current Tribal Member


All children under 13 should be properly secured in the back seat!

Convertible Forward-Facing 




If you meet the eligibility requirements, please call our Child Passenger Safety Technician, Martha Wood, at the Craig Tribal Association at (907) 826-3996 to schedule your appointment!

Harnessed Booster Seat

(Forward Facing)

22-110 lbs

If you have any further questions, please don't hesitate to call our Transportation Office at (907) 826-7433.

Convertible Rear-Facing

 5-40 lbs

Please note that your child must be present in order to receive a car seat. 

CTA Public Transit